Buying a home involves learning many new terms. Real estate listings, contracts, and inspection reports often contain language that can confuse first-time buyers. One common question many buyers have is what is a plat, especially when reviewing property records or subdivision maps. Understanding these terms helps you make better decisions and avoid surprises during the buying process.
Whether you are searching for your first property or expanding your real estate knowledge, knowing key concepts can make the process smoother. Terms related to property boundaries, home layouts, ownership structures, and construction features all play an important role.
This guide explains several common real estate terms that buyers often encounter. By understanding these concepts, you can read property listings more confidently and evaluate homes more effectively.
What Is a Plat in Real Estate?

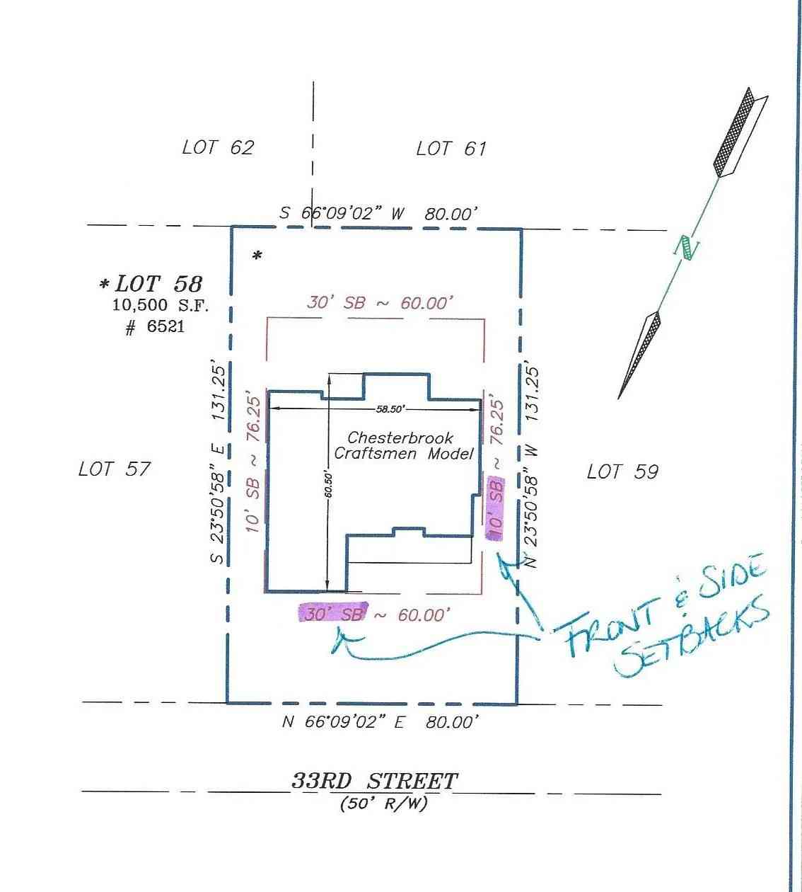
One important concept in land ownership is what is a plat. In real estate, a plat is a map that shows how a piece of land has been divided. It outlines property boundaries, roads, easements, and sometimes utilities.
Local governments typically record these maps when land is subdivided into lots for homes or commercial properties. When developers create a new neighborhood, a plat map shows how each lot is arranged and how the streets connect.
A typical plat map may include:
- Lot numbers for each property
- Dimensions of each parcel of land
- Street layouts and public access areas
- Easements for utilities or drainage
Understanding what is a plat helps buyers see the exact boundaries of a property. It also shows how the land relates to neighboring parcels.
For example, if you are buying a home in a newly developed subdivision, the plat map will show the lot size and the exact position of your property within the neighborhood.
What Are Plats and Why They Matter

When discussing land development, buyers often hear the phrase what are plats. In simple terms, plats are official records that define how land has been divided and organized.
These documents are usually filed with a county recorder or planning department. They help cities manage growth and ensure properties follow zoning rules.
Understanding what are plats can help buyers in several ways:
- They clarify property boundaries before purchase
- They reveal shared access areas or easements
- They show how a neighborhood is organized
For instance, a plat may indicate that part of a yard is reserved for utility access. Knowing this information before buying helps avoid misunderstandings later.
Real estate agents and title companies often review plats during the closing process to confirm the legal description of a property.
What Does Turnkey Mean in Real Estate

Another term buyers frequently encounter is what does turnkey mean. A turnkey property is a home that is ready to move into immediately without needing repairs or renovations.
Investors and busy buyers often prefer turnkey homes because they require little preparation before occupancy.
When evaluating what does turnkey mean in property listings, it typically indicates:
- The home has been recently renovated or maintained
- Appliances and fixtures are installed and functioning
- No major repairs are needed before moving in
For investors, turnkey properties may also refer to rental homes that already have tenants in place. This allows buyers to generate rental income right after purchase.
However, buyers should still conduct inspections. Even when a listing claims to be turnkey, it is wise to confirm the condition of major systems such as plumbing, roofing, and electrical components.
What Is a Property Owners Association

In many neighborhoods, residents belong to an organization that manages shared spaces and community rules. Buyers often ask what is a property owners association when researching these communities.
A property owners association (POA) is an organisation that oversees certain aspects of a residential area. It may maintain shared amenities and enforce community standards.
Typical responsibilities of a POA include:
- Maintaining parks or community spaces
- Managing neighborhood entrances or landscaping
- Enforcing building or property maintenance guidelines
- Collecting association dues
Understanding what is a property owners association is important before buying a home in a managed community.
Buyers should review the association rules and monthly fees to ensure they fit their lifestyle and budget.
What Is a 3/4 Bath

Home listings often include descriptions of bathroom layouts. Buyers sometimes wonder what is a 3 4 bath when reviewing these details.
A three-quarter bathroom usually includes:
- A sink
- A toilet
- A shower
Unlike a full bathroom, it does not include a bathtub. Understanding what is a 3 4 bath helps buyers interpret property descriptions more accurately. These bathrooms are common in guest areas, basements, or smaller homes. They provide convenience while saving space compared to a full bath.
When reviewing a listing, a home described as having two full baths and one three-quarter bath means the house has three total bathrooms, but only two include bathtubs.
What Is the Difference Between a Condo and a Townhouse

Many buyers compare housing options and ask what is the difference between a condo and a townhouse. Both property types can offer lower maintenance living, but they are structured differently.
Condominiums typically involve owning the interior of a unit within a larger building or complex. The exterior structure and shared areas are usually maintained by an association.
Townhouses, on the other hand, are multi-level homes that share walls with neighboring units but often include ownership of the land beneath them.
Key differences include:
Ownership structure
- Condo owners typically own the interior space only
- Townhouse owners usually own both the structure and the land
Maintenance responsibilities
- Condo associations handle most exterior maintenance
- Townhouse owners may be responsible for more upkeep
Understanding what is the difference between a condo and a townhouse helps buyers choose the type of property that best fits their lifestyle and maintenance preferences.
What Is a CO in Real Estate

Another common question during property transactions is what is a co. In real estate, a CO refers to a Certificate of Occupancy.
A Certificate of Occupancy is an official document issued by a local government. It confirms that a building meets safety codes and is approved for occupancy.
Understanding what is a co is important because most lenders and municipalities require this document before a property can be legally occupied.
A CO typically verifies that:
- Construction meets building codes
- Electrical and plumbing systems pass inspection
- The structure complies with zoning regulations
Buyers should ensure that a valid CO exists before completing a property purchase.
What Is a Crawl Space

Some homes are built with foundations that create an area beneath the floor. Buyers often ask what is a crawl space when reviewing inspection reports.
A crawl space is a shallow area between the ground and the floor of a house. It is usually tall enough for someone to crawl through but not stand up.
Understanding what is a crawl space helps buyers evaluate certain aspects of a home’s structure.
These spaces often contain:
- plumbing lines
- electrical wiring
- HVAC ductwork
Crawl spaces allow easier access for repairs compared to slab foundations. However, they can also require proper ventilation and moisture control. When buying a home with this feature, inspections should check for issues such as moisture, insulation problems, or pest activity.
What Are Micro Units

Housing trends continue to evolve, particularly in dense urban areas. One growing concept is micro units.
Micro units are very small apartments designed to maximize efficiency in limited space. These homes are typically found in major cities where housing costs are high.
Characteristics of micro units often include:
- compact floor plans
- combined living and sleeping areas
- efficient storage solutions
- shared building amenities
Developers sometimes build micro units to create more affordable options in expensive housing markets.
While they are smaller than traditional apartments, these spaces appeal to buyers who prioritize location and convenience.
Common Property Terms Home Buyers Should Understand

Real estate involves many technical terms that can influence a purchase decision. Beyond learning what is a plat, buyers should also become familiar with several other concepts that appear in listings and contracts.
Important terms to recognise include:
- Property boundaries shown in recorded maps
- ownership structures like condos or townhouses
- bathroom descriptions, such as three-quarter baths
- structural elements like crawl spaces
When buyers understand these concepts, they can better interpret property details and ask informed questions during negotiations, especially when comparing how properties are priced in the market. Working with experienced real estate professionals can also help clarify unfamiliar terminology.
Conclusion
Real estate transactions involve more than simply choosing a home. Buyers must understand legal documents, property layouts, and construction features that affect ownership and long-term value.
Learning what a plat is and related terms helps buyers better understand property boundaries and development plans. It also helps them evaluate listings more confidently and avoid misunderstandings during the buying process.
From understanding community organizations to recognizing bathroom layouts and foundation types, these concepts provide valuable insight into how properties are structured and managed.
By becoming familiar with these key real estate terms, buyers can approach the home search process with greater confidence and make informed decisions about their future property investments.



